Milton nadciąga. Porywy nawet do 315 km/h

W kierunku Florydy zmierza kolejny bardzo groźny huragan. Informacje płynące od ekspertów są bardzo niepokojące. Siła żywiołu wzrasta w porażającym tempie.

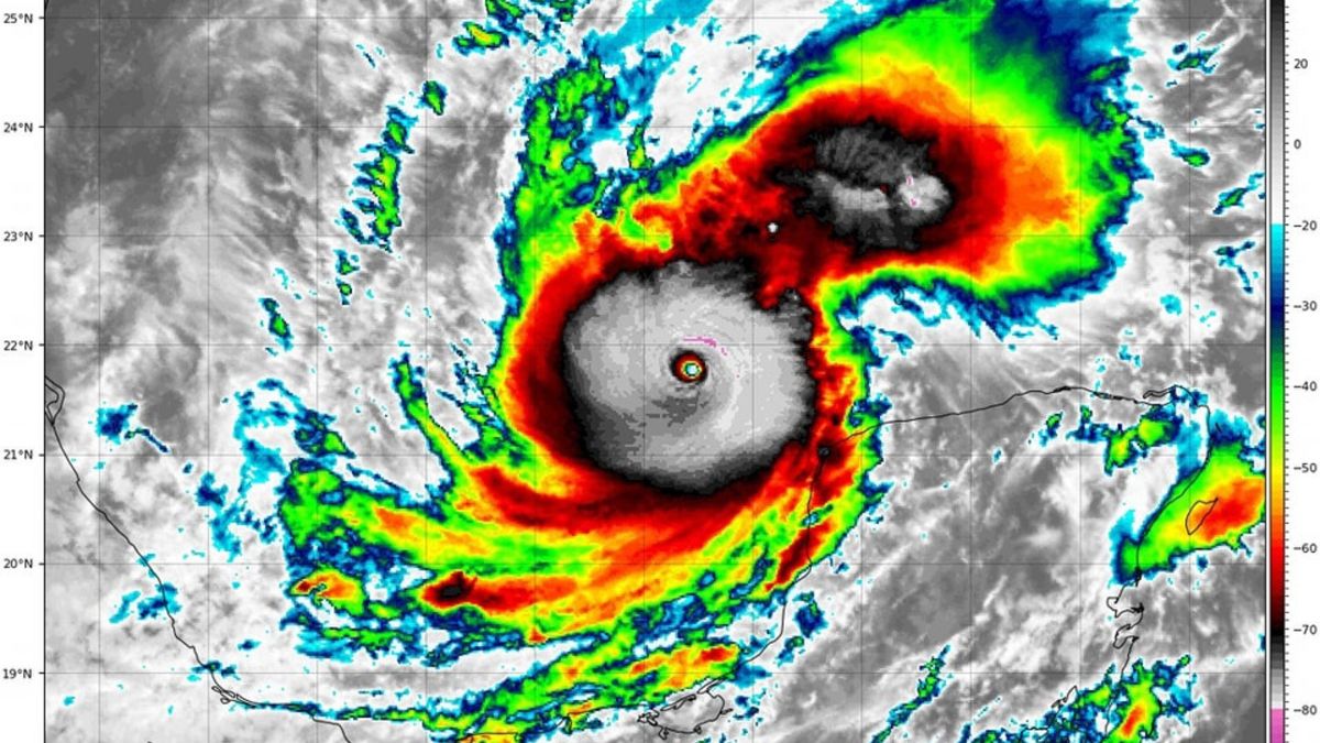
Groźny huragan zmierza w kierunku FlorydyGroźny huragan zmierza w kierunku Florydy
Źródło zdjęć: © Tropical Tidbits
Mateusz Domański

W kierunku Florydy zmierza bardzo groźny huragan Milton. Jego siła rośnie bardzo szybko.

W mniej niż 48h po tym, jak został nazwany burzą tropikalną, osiągnął on najwyższą, 5 kategorie w skali Saffira-Simpsona - donosi facebookowy profil Sieć Obserwatorów Burz.

Dalsza część artykułu pod materiałem wideo

Zapytaliśmy o wystąpienie Czarnka w kościele. "Albo jest politykiem, albo idzie na księdza"

Huragan niesie wiatr ciągły wiejący z prędkością do 260 km/h oraz porywy osiągające nawet 315 km/h. Ciśnienie w oku huraganu spadło już do 925 hPa.

Według aktualnych prognoz, przed uderzeniem we Florydę powinien on osłabnąć do 3 kategorii. Niestety, to nie są dobre informacje dla zmagających się ze szkodami po poprzednim huraganie - podaje Sieć Obserwatorów Burz.

Huragan Milton gwałtownie przybrał na sile

Ten huragan gwałtownie przybrał na sile w poniedziałek. Przypisuje się to bardzo ciepłym wodom Zatoki Florydzkiej i unikalnej strukturze huraganu. "Stały potok pojazdów zmierzał na północ w kierunku florydzkiej Panhandle autostradą międzystanową 75, główną trasą po zachodniej stronie półwyspu, gdy mieszkańcy zastosowali się do nakazów ewakuacji. Ruch uliczny zakorkował południowe pasy autostrady na wiele kilometrów" - informowała AP, podkreślając, że ludzie narzekają na brak benzyny.

Centrum Miltona może dotrzeć do wybrzeża w środę w regionie zatoki Tampa, który nie został bezpośrednio uderzony przez duży huragan od ponad wieku. Meteorolodzy spodziewają się, że żywioł nieco osłabnie przed dotarciem do lądu. Może jednak zachować siłę huraganu, gdy będzie przemieszczał się przez środkową Florydę w kierunku Oceanu Atlantyckiego - przekazywała AP.

Gubernator Florydy Ron DeSantis powiedział, że co prawda nie wyklucza się osłabnięcia huraganu, jednak nie można na to liczyć.

Cokolwiek się stanie spowoduje poważne szkody - dodawał.
Źródło artykułu: o2pl
Wybrane dla Ciebie
Pogoda w Wrocławiu. Prognoza na piątek 24 października. Mnóstwo chmur i dość chłodno
Pogoda w Wrocławiu. Prognoza na piątek 24 października. Mnóstwo chmur i dość chłodno
Pogoda w Warszawie. Prognoza na piątek 24 października. Deszcz i niskie ciśnienie
Pogoda w Warszawie. Prognoza na piątek 24 października. Deszcz i niskie ciśnienie
Pogoda w Szczecinie. Prognoza na piątek 24 października. Całkowite zachmurzenie i bardzo niskie ciśnienie
Pogoda w Szczecinie. Prognoza na piątek 24 października. Całkowite zachmurzenie i bardzo niskie ciśnienie
Pogoda w Rzeszowie. Prognoza na piątek 24 października. Przelotne deszcze i niskie ciśnienie
Pogoda w Rzeszowie. Prognoza na piątek 24 października. Przelotne deszcze i niskie ciśnienie
Pogoda w Poznaniu. Prognoza na piątek 24 października. Deszczowo przez większość dnia
Pogoda w Poznaniu. Prognoza na piątek 24 października. Deszczowo przez większość dnia
Pogoda w Opolu. Prognoza na piątek 24 października. Deszczowy początek, poprawa po południu
Pogoda w Opolu. Prognoza na piątek 24 października. Deszczowy początek, poprawa po południu
Pogoda w Olsztynie. Prognoza na piątek 24 października. Pogoda nie będzie sprzyjająca
Pogoda w Olsztynie. Prognoza na piątek 24 października. Pogoda nie będzie sprzyjająca
Pogoda w Łodzi. Prognoza na piątek 24 października. Deszcz i bardzo niskie ciśnienie
Pogoda w Łodzi. Prognoza na piątek 24 października. Deszcz i bardzo niskie ciśnienie
Pogoda w Lublinie. Prognoza na piątek 24 października. Deszcz i bardzo niskie ciśnienie
Pogoda w Lublinie. Prognoza na piątek 24 października. Deszcz i bardzo niskie ciśnienie
Pogoda w Krakowie. Prognoza na piątek 24 października. Chłodno i deszczowo przez cały dzień
Pogoda w Krakowie. Prognoza na piątek 24 października. Chłodno i deszczowo przez cały dzień
Pogoda w Kielcach. Prognoza na piątek 24 października. Deszczowo przez większość dnia
Pogoda w Kielcach. Prognoza na piątek 24 października. Deszczowo przez większość dnia
Pogoda w Katowicach. Prognoza na piątek 24 października. Deszcz i niskie ciśnienie przez cały dzień
Pogoda w Katowicach. Prognoza na piątek 24 października. Deszcz i niskie ciśnienie przez cały dzień